Codegua Chimbarongo, Campo Loteado Con 46 Sitios Mas 25 Has Codegua
https://static.portalterreno.cl/properties/8089/e975ae76-f10a-55ae-8852-72eba52a208b.webp
https://portalterreno.com/imagenes/terrenos/2810095142_2.jpg
https://portalterreno.com/imagenes/terrenos/2810095242_3.jpg
https://portalterreno.com/imagenes/terrenos/2810095310_9.jpg
https://portalterreno.com/imagenes/terrenos/2810095323_13.jpg

Características
Agrícola en VentaPublicado hace 5 meses

Precio

UF 30.300

$1.207.204.116

Superficie Útil

54,49 ha

Superficie Total

54,49 ha

Ubicación

Codegua


Descripción
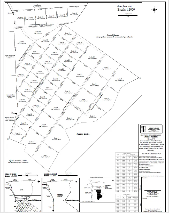
Se vende excelente campo de 55 hectáreas ubicado en Chimbarongo, ideal para inversionistas o desarrolladores que busquen un proyecto ya iniciado y con gran proyección.

La propiedad cuenta con 27,5 hectáreas ya loteadas en 46 parcelas, lo que permite comenzar a comercializar de inmediato. Además, queda un saldo aproximado de 25 hectáreas disponibles, perfectas para continuar el loteo, desarrollar nuevas parcelas o destinar a uso agrícola.

Un punto muy importante es que el campo cuenta con acciones de agua del canal Tinguiririca, lo que le entrega un valor adicional tanto para desarrollo inmobiliario como para explotación agrícola.

Ubicado en un entorno natural muy atractivo y en una zona con alta demanda por parcelas de agrado, esta propiedad combina tranquilidad, conectividad y un gran potencial de crecimiento.

Características principales:

- Superficie total: 55 hectáreas
- 27,5 hectáreas ya loteadas en 46 parcelas
- Saldo aproximado de 25 hectáreas disponibles
- Acciones de agua del canal Tinguiririca
- Ideal para continuar el proyecto de loteo
- También apto para desarrollo agrícola
- Zona con alta demanda por parcelas
- Excelente oportunidad para inversionistas

Una propiedad muy atractiva para quienes buscan un proyecto con avance real, potencial inmediato de venta y una proyección de plusvalía muy interesante.

VENDE FMC GESTION INMOBILIARIA

Ubicación
Mapa
Vista previa de la ubicación










Publicado por

Fernando Munizaga

Propiedades relacionadas
Condominio Lomas de Pilauco
UF 10.750
Condominio Lomas de Pilauco
5.264 m2 totales
Parcela en Osorno, Los Lagos

$65.000.000
5.000 m2 totales
Terreno residencial en Curicó, Maule

Embalse La Paloma
UF 630
Embalse La Paloma
6.025 m2 totales
Parcela en Monte Patria, Coquimbo

Minutos de Linares
UF 19.898
Minutos de Linares
73.400 m2 totales
Parcela en Linares, Maule

Cauquenes, Región del Maule, Chile
$17.000.000
Cauquenes, Región del Maule, Chile
5.616 m2 totales
Parcela en Cauquenes, Cauquenes

SECTOR CRUCE ROMERAL
UF 73.325
SECTOR CRUCE ROMERAL
52.375 m2 totales
Industrial en Curicó, Maule

Rinconada de Taucu
$120.000.000
Rinconada de Taucu
70.000 ha totales
Terreno residencial en Cobquecura, Ñuble

Aromos Vista privilegiada (155461)
$190.000.000
Aromos Vista privilegiada (155461)
5.000 m2 totales
Parcela en Limache, Valparaíso

Aguas Buenas
$10.400.000
Aguas Buenas
5.025 m2 totales
Terreno residencial en Ancud, Los Lagos

Cauquenes camino a Chanco, M-50 / 4 hectáreas (116374)
$239.500.000
Cauquenes camino a Chanco, M-50 / 4 hectáreas (116374)
40.000 m2 totales
Parcela en Cauquenes, Maule

Avenida Olegario Ovalle
UF 15.000
Avenida Olegario Ovalle
225 m2 totales
Sitio en Zapallar, Valparaíso

1 Há. Entorno Natural con río, Lago Chapo. PM (151392)
$33.000.000
1 Há. Entorno Natural con río, Lago Chapo. PM (151392)
10.000 m2 totales
Terreno residencial en Puerto Montt, Los Lagos

Parcela en medio de la naturaleza, 5500 mts (155318)
$140.000.000
Parcela en medio de la naturaleza, 5500 mts (155318)
5.500 m2 totales
Parcela en Puente Alto, Región Metropolitana

COD35980 Jardines de la Frontera - Frente al Country Club
$1.500.000
COD35980 Jardines de la Frontera - Frente al Country Club
2.988 m2 totales
Parcela en Temuco, La Araucanía

Ubicación Estratégica para Invertir (132362)
$135.000.000
Ubicación Estratégica para Invertir (132362)
750 m2 totales
Terreno residencial en Panguipulli, Los Ríos

Posee luz electrica ,agua potable y cercado (106233)
$43.000.000
Posee luz electrica ,agua potable y cercado (106233)
5.400 m2 totales
Parcela en Los Angeles, Biobío

LAGUNA ACULEO
UF 4.500
LAGUNA ACULEO
5.029 m2 totales
Parcela en Paine, Región Metropolitana

Camino al Alfalfal, kilómetro 6,3
$33.760.000
Camino al Alfalfal, kilómetro 6,3
1.000 m2 totales
Terreno residencial en Cajón del Maipo, Región Metropolitana

Avenida Alessandri
UF 95.000
Avenida Alessandri
8.640 m2 totales
Industrial en Curicó, Maule

SECTOR CAMINO A MELIPILLA
UF 64.000
SECTOR CAMINO A MELIPILLA
24.000 m2 totales
Sitio en Maipú, Región Metropolitana

Subir

Logo
2026 Portal Terreno SPA - Todos los derechos reservados.
Chile (CL)